Devastación en Jamaica: el país pide ayuda por el huracán Melissa casi una semana después de que el ciclón tocó tierra; la isla caribeña se organiza para asistir a la población afectada.
Una tormenta histórica arrasa Jamaica
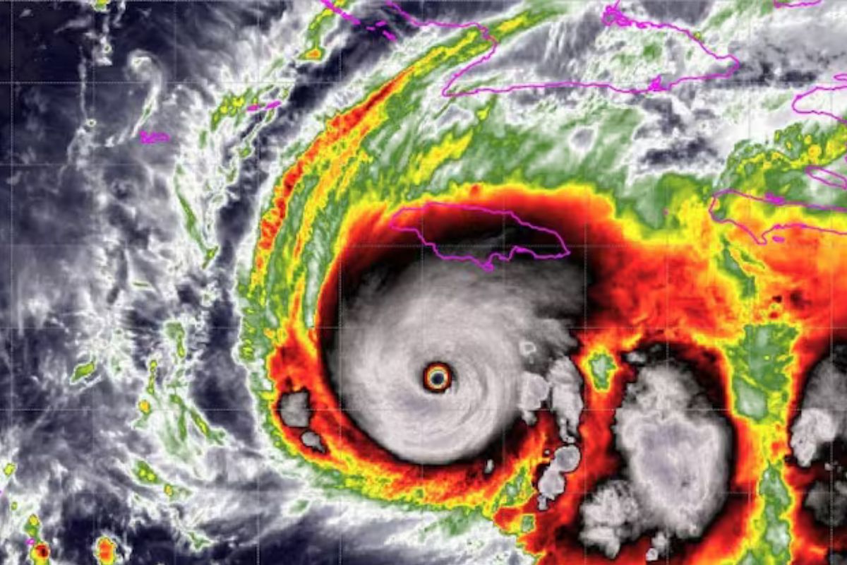
El huracán Melissa impactó Jamaica como un ciclón de categoría 5 el 28 de octubre de 2025, con vientos sostenidos que alcanzaron hasta 185 mph (295 km/h). El ojo del huracán tocó tierra cerca de New Hope, en la parroquia de Westmoreland, y afectó especialmente el oeste de la isla. Las imágenes aéreas muestran comunidades destruidas, techos arrasados y carreteras cortadas que complican la evaluación completa de los daños.
Impacto humano y necesidad urgente de auxilio
Los primeros informes oficiales confirman al menos 30 fallecidos en Jamaica, aunque la cifra podría aumentar a medida que se accede a zonas aisladas. Más del 70 % de los hogares quedaron sin electricidad y miles de personas están desplazadas o en refugios temporales. En varias parroquias agrícolas, las lluvias torrenciales y las mareas de tormenta generaron inundaciones y derrumbes que agravan la crisis alimentaria y de vivienda.
Jamaica lanza un llamado internacional de apoyo
El gobierno de Jamaica emitió una petición formal de “toda la ayuda posible” mientras enfrenta la reconstrucción de su infraestructura, el restablecimiento del suministro eléctrico y el abastecimiento de agua potable. Los recursos internos se ven desbordados y la logística para alcanzar comunidades remotas es extremadamente compleja.
Ayuda internacional ya en camino
Diversos gobiernos y organizaciones han respondido al llamado. El Reino Unido desplegó una ayuda de £2,5 millones (aproximadamente 3,36 millones de dólares) para Jamaica, incluyendo kits de refugio, filtros de agua y mantas. También la World Food Programme (WFP) trabaja junto al gobierno jamaicano para coordinar la logística de alimentos, efectivo de emergencia y otros insumos críticos.
El truco que convierte la neblina en agua potable en Lima

Infraestructura crítica dañada y los desafíos logísticos
Según la Jamaica Red Cross y otras fuentes humanitarias, la destrucción de carreteras, puentes y redes eléctricas complica el acceso a las zonas más degradadas. Refugios, hospitales y centros de salud también se vieron gravemente afectados, lo que agrega urgencia a las operaciones de rescate y recuperación.
Turismo y economía golpeados
Jamaica depende fuertemente del turismo y de sectores agrícolas exportadores como el café y el banano. El paso de Melissa no solo destruyó infraestructuras turísticas, sino que también dejó pérdidas materiales que tardarán años en recuperarse. La crisis ha generado preocupación por la estabilidad económica a mediano plazo de la isla.
Cómo colaborar y qué necesita Jamaica en este momento
Las agencias humanitarias recomiendan donaciones en efectivo a organizaciones confiables en vez de envío de bienes sin trámite, que pueden obstaculizar la cadena de ayuda. Actualmente hay necesidad de refugios temporales, alimentos, agua potable, redes eléctricas provisionales y reconstrucción de viviendas.
El camino hacia la recuperación será largo
La reconstrucción de Jamaica tras el huracán Melissa marcará una prueba de resiliencia para la isla. Con apoyo internacional, comunitario y estratégico, la meta es restaurar la normalidad, reforzar la infraestructura y prepararse mejor ante futuros eventos climáticos extremos que, según los expertos, podrían aumentar en frecuencia e intensidad.
Global
