Por Margaret López / @Jamsg
La eliminación de la enfermedad de Chagas fue el objetivo propuesto por la Organización Mundial de la Salud (OMS) para el año 2030. Esta enfermedad afecta hoy a más de 6 millones de personas en el mundo, la mayoría en América Latina, pero mientras se trata de insistir en su importancia frente a otros padecimientos, en Caracas, la capital de Venezuela, florecen microclimas que pueden llevar a más personas a infectarse.
¿Qué pasa cuando se insiste en la construcción de viviendas dentro de áreas boscosas? ¿Qué consecuencias produce la disminución de la población de los cachicamos y los rabipelados? ¿Qué insectos pueden instalarse alrededor de las cuevas de los roedores urbanos? Todas las respuestas hablan de un mayor riesgo para la transmisión de la enfermedad de Chagas, y Caracas es un buen ejemplo.
Del olvido a enfermedad urbana
El símbolo más internacional de la capital venezolana es la montaña del Ávila. Este verdor está situado en el norte de Caracas, y es el hogar de una variedad de especies que incluyen a los triatominos (chinche, vinchuca o chinchorro) y a los cachicamos (armadillo), dos especies involucradas en el ciclo de la zoonosis (transmisión de animal a humano) para que una persona termine infectada con el parásito del Trypanosoma cruzi y se convierta en otro paciente con la enfermedad de Chagas.
Al Chagas se le conoce como una enfermedad tropical olvidada o desatendida en el mundo médico. En buena parte, porque su historia está asociada a un padecimiento propio de las poblaciones empobrecidas y rurales latinoamericanas. Y, por otro lado, porque los pacientes pueden tardar 10 años, o incluso más tiempo, en mostrar las graves secuelas cardíacas o gastrointestinales de la enfermedad.
Los pacientes al inicio sufren de fiebre, diarrea y vómitos. Unos síntomas que se pueden confundir con otras enfermedades más publicitadas y frecuentes como el dengue o, incluso, el virus SARS-CoV-2 de la reciente pandemia del Covid-19.
Solo los ojos médicos más entrenados son quienes prestan atención a la inflación en los ojos y las piernas mostradas por los pacientes, otro de los síntomas de la fase aguda del mal de Chagas. Este punto es crucial para que se pueda ordenar el examen diagnóstico apropiado y empezar con el tratamiento para paliar las consecuencias más graves de este padecimiento que todavía no cuenta con una vacuna ni con una cura definitiva.

Al menos tres de cada 10 personas infectadas de Chagas desarrollan daños cardíacos, que les impiden actividades sencillas como subir escaleras. En tanto, otro 10% de los infectados sufre agrandamiento en el esófago, la vesícula o el colón.
[También te puede interesar: El río Beni enferma con mercurio e indígenas quedan impotentes ante la minería.]

Lo más resaltante es que el riesgo a padecer de esta enfermedad Chagas dejó de suscribirse a comunidades más rurales. Todo lo contrario.
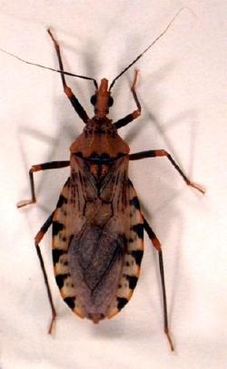
“En Petare (a 15 kilómetros del centro de Caracas), por ejemplo, hay una gran cantidad de casas construidas y por debajo se tiene una humedad suficiente. Las casas les brindan a los triatominos la disponibilidad de ingesta sanguínea, sean roedores, perritos o personas. Este comportamiento viene de sus orígenes asociado a las cuevas de los cachicamos, pero ahora se adaptaron a otras cuevas que son las de roedores”, explica el entomólogo Matías Reyes Lugo, quien dirige el Laboratorio de entomología médica Pablo Anduze del Instituto de Medicina Tropical de la Universidad Central de Venezuela (UCV).
Reyes Lugo lleva más de 20 años enfocado en los estudios del triatomino Panstrongylus geniculatus, un insecto que se alimenta de sangre, al que se le conoce como “chipo” en el lenguaje popular y que es el vector de la enfermedad de Chagas. Su presencia en los hogares de Caracas, al final, solo puede entenderse como el aumento del riesgo para la transmisión de esta enfermedad olvidada.
Un primer aviso de los riesgos de la presencia del Panstrongylus geniculatus en Caracas se dio con el primer brote de transmisión oral ocurrido en 2007. Más de 100 personas fueron diagnosticadas con la enfermedad de Chagas tras consumir un jugo natural donde cayeron varios ejemplares de triatominos, que fueron licuados y servidos, en una escuela pública municipal ubicada en el municipio de Chacao.
Sin clase social
La presencia del Panstrongylus geniculatus no se limita solo a Petare, que es un lugar reconocido como el asentamiento urbano informal más grande de Caracas. La gran mayoría de estas casas, de hecho, fueron autoconstruidas por sus habitantes en laderas que colindan con el Parque Nacional El Ávila.
En otras parroquias caraqueñas como San José del Ávila y La Pastora, al otro extremo de la montaña, y en Bello Monte, Santa Mónica, Cumbres de Curumo y Caurimare también se reportaron especímenes de este insecto.
Quizás el elemento más interesante es que los reportes del vector de la enfermedad de Chagas abarcan por igual a casas en zonas humildes y a urbanizaciones propias de clases sociales medias y altas en Caracas.
“En nuestro trabajo de campo, encontramos Panstrongylus geniculatus en casas muy bien construidas en La Boyera, en donde el chipo se instaló debajo de la casita de los perros en el patio e hizo allí su ciclo de alimentación al picar a los perros. Lo mismo vimos en Loma Baja, con casas autoconstruidas y con condiciones socioeconómicas diferentes. El fenómeno es el mismo, porque el triatomino solo necesita un buen lugar donde asentarse y una fuente de alimento”, detalla Reyes Lugo.
Microclimas cálidos y húmedos
La Boyera y Loma Baja tienen poco en común en cuanto a condiciones socioeconómicas, pero mucho cuando se habla de sus microclimas. Son zonas con grandes coberturas vegetales que vienen reduciéndose por la acción humana, con una temperatura cálida durante todo el año y con una humedad relativa alta.

Al Instituto de Biología Experimental (IBE) de la UCV llegaron algunos ejemplares de triatominos que fueron recolectados en apartamentos ubicados a la altura del piso 19 de Santa Mónica.
“Algo que solemos olvidar es que quienes nos estamos expandiendo por la ciudad somos nosotros, los humanos, ellos ya estaban allí. Estos insectos prefieren los ambientes cálidos y húmedos”, subraya el biólogo Juan Caraballo Marcano, quien estudió las variables ambientales asociadas a la presencia de este triatomino Panstrongylus geniculatus en Caracas.
Su trabajo junto a Cristina Sanoja y Gilberto Payares, que fue publicado en la revista científica Tesla, concluyó que los niveles de humedad y precipitación son elementos clave a la hora de entender la presencia de estos chipos en el Valle de Caracas.
Estos hallazgos coinciden con el “Modelo de distribución espacial de Panstrongylus geniculatus en Venezuela”, publicado en 2021. Los hallazgos establecen que estos triatominos se desarrollan mejor en ambientes con temperaturas entre los 24°C y 27°C, con una humedad relativa por encima de 70%, con precipitaciones medias anuales de 500 milímetros cúbicos y en alturas desde los 100 hasta los 1.800 metros sobre el nivel del mar.
Las escasas fuentes de alimento
La investigación de Caraballo, Sanoja y Payares agregó, además, que la aparición de estos triatominos en los domicilios de Venezuela aumenta “cuando las fuentes de ingesta sanguínea animal escasean” en su dinámica silvestre. Esto implica que hay una vinculación directa con la desaparición del número de ejemplares de cachicamos y rabipelados en la ciudad, que suelen ser la principal fuente de alimento de estos insectos en sus ambientes naturales.
Para el entomólogo Reyes Lugo, hay una correlación estrecha entre la desaparición de las áreas boscosas en Caracas, la disminución de la población de cachicamos y una mayor aparición de los triatominos cerca de los hogares. Al final, el traslado de los insectos, en especial durante los meses de mayo y junio, se hace para poner sus huevos en nuevas locaciones y en búsqueda de nuevas fuentes de alimento.

[También te puede interesar: Maíz transgénico en México: no para humanos, sí para animales e industria.]
Más allá de Caracas
La capital venezolana, sin embargo, no es la única ciudad en donde comenzaron a confluir las condiciones climáticas para que los triatominos se acerquen más a las personas.
Reportes científicos muestran que la especie del Panstrongylus geniculatus también está presente en otros puntos de la región norte costera del país, que incluye a los estados Miranda, Aragua, Carabobo, Lara y Yaracuy. Al igual que sucede en las localidades andinas de Mérida, Táchira, Trujillo y Barinas, incluso en el Zulia.
En la medida en que el cambio climático suba la temperatura en otros 3°C y las precipitaciones aumenten otro 10% en varias ciudades venezolanas —como predicen los modelos de la Academia de Ciencias Físicas, Matemáticas y Naturales (Acfiman)—, también se crean las condiciones climáticas para que este triatomino pueda establecerse en otros lugares. A la ecuación solo falta sumarle la reducción de los hábitats de las especies como marsupiales, armadillos, murciélagos y roedores que son la fuente original de alimentación sanguínea para estos insectos.
Estos microclimas formados en Caracas pueden servir también como una alerta para el resto de los 20 países de América Latina en donde esta especie de triatomino es endémica y hay transmisión de la enfermedad de Chagas.
La alarma puede encenderse inclusive fuera de la región, porque un estudio sobre la idoneidad climática de los triatominos evidencia que el Panstrongylus geniculatus cuenta con las condiciones para establecerse en puntos tan distantes como los países del centro de África. Solo haría falta otro error humano que lo llevara hasta allá.
Este artículo es parte de COMUNIDAD PLANETA, un proyecto periodístico liderado por Periodistas por el Planeta (PxP) en América Latina, del que BIOGUIA forma parte.
Global
